11 décembre 2018
11 décembre 2018
cela ne n'empêche
                        pas de jouer
Twarak encore rasé au niveau de sa hanche gauche.... pauvre chien
24 octobre 2018
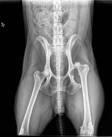
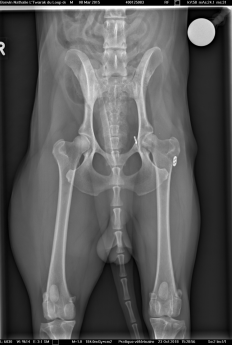
Voici les radios du 23 octobre... la tête du fémur est nécrosée...sur problème infectieux... je ne suis pas contente... la seule alternative qu'il reste maintenant et de tout enlever, de couper la tête du fémur... et Twarak devra vivre ainsi.
Il me dise que pour un chien comme lui, c'est très gérable... je suis triste pour Twarak....
Au début, ça allait bien, Twarak posait très bien sa patte arrière gauche,
mais après quelques semaines, quelque chose n'allait pas et il décharge de plus en plus sa patte...
Le Tierspital ne veut pas le revoir et j'ai donc R-V seulement le 23 octobre prochain...
mais je sens, je sais que queqlue chose ne va pas.
Pauvre Twarak, il est si brave
16 octobre 2018
21 août 2018
il y a eu une minuscule bousculade à la maison, le 16 août.... mais vraiment rien... mais je suis sûre que les bandages de Twarak n'ont pas empéché une re-luxation. ça n'a pas tenu... j'avais déjà signaler cela à la consultation de contrôle il y a quelques jours au Tierspital... mais ils m'ont dit que non.... sans même faire une radio.... j'ai dû insister... et j'avais raison, c'est à nouveau luxé...
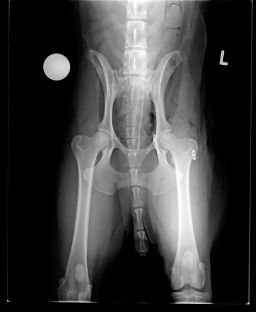
opération et mise en place d'un bouton-clou dans la tête du fémur gauche
20 août 2018
13 août 2018
Aujourd'hui, je me suis levée tôt pour aller faire bien courir les chiens au terrain avant d'aller travailler....
Ksar et Twarak ont voulu se bagarrer. Ils étaient les deux, debout sur leurs pattes arrière pour "s'affronté" de face l'un contre l'autre.
J'ai hurlé "STOP"... Ksar s'est immédiatement retiré, laissant Twarak en déséquilibre... et en tombant, Twarak n'arrivant pas à se reprendre, il se luxe la hanche gauche....
Véto... il n'arrive pas à réduire... donc Tierspital à Berne... là, il arrive à réduire la luxation et lui mette une attelle...
Twarak doit donc rester tranquille
mwnu_rowmwnu_rowmwnu_rowmwnu_rowmwnu_rowmwnu_rowmwnu_rowmwnu_rowmwnu_rowmwnu_rowmwnu_rowmwnu_rowmwnu_rowmwnu_rowmwnu_rowmwnu_rowmwnu_rowmwnu_rowmwnu_rowmwnu_rowmwnu_rowmwnu_rowmwnu_row
Elevage
   Accueil
   Mes femelles
         Phako
         Waukee
         Tikal
         Akash
         Kiowa
         Lyhak
         Kétzal
        Zakuña
   Mes mâles
         Stryker
         Kyphx
         Ksar
         L'Twarak
         L'Jam (D'Jam)
         Djakkar
   Chiots
         Portée prévue
         Chiots disponibles
   Mes portées
         Portée K
         Portée L
mwnu_rowmwnu_rowmwnu_rowmwnu_rowmwnu_rowmwnu_rowmwnu_row

  

Accueil

  

Pedigree

   Résultats

   Photos

         

L'Twarak chiot

         

L'Twarak de 1 à 5 ans

         

L'Twarak de 1 à 5 ans suite

 


         

L'Twarak en agility

L'Twarak
Twarak  de  1  à  5  ans     suite
Copyright © 2011 Elevage du Loup des Alpes. Tous droits réservés. - Webmaster :  Alain Schlotz  -  Design  :  Point Design
Site web crée avec WebAcapella 4 Pro